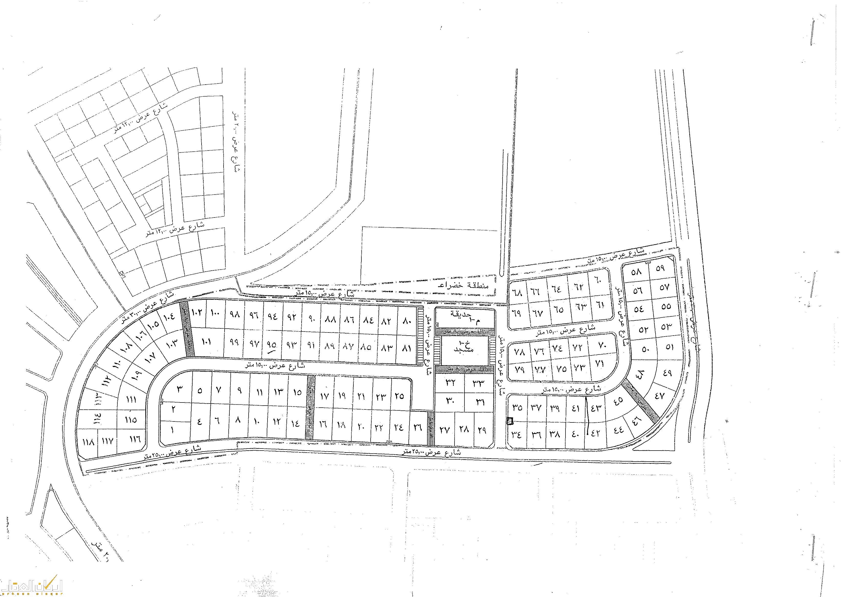
رقم المخطط
1096/4
خدمات
كهرباء
ماء
مجاري
طرق
إنارة
صورة المخطط
موقع المخطط
25.369372046908, 49.617463044433
