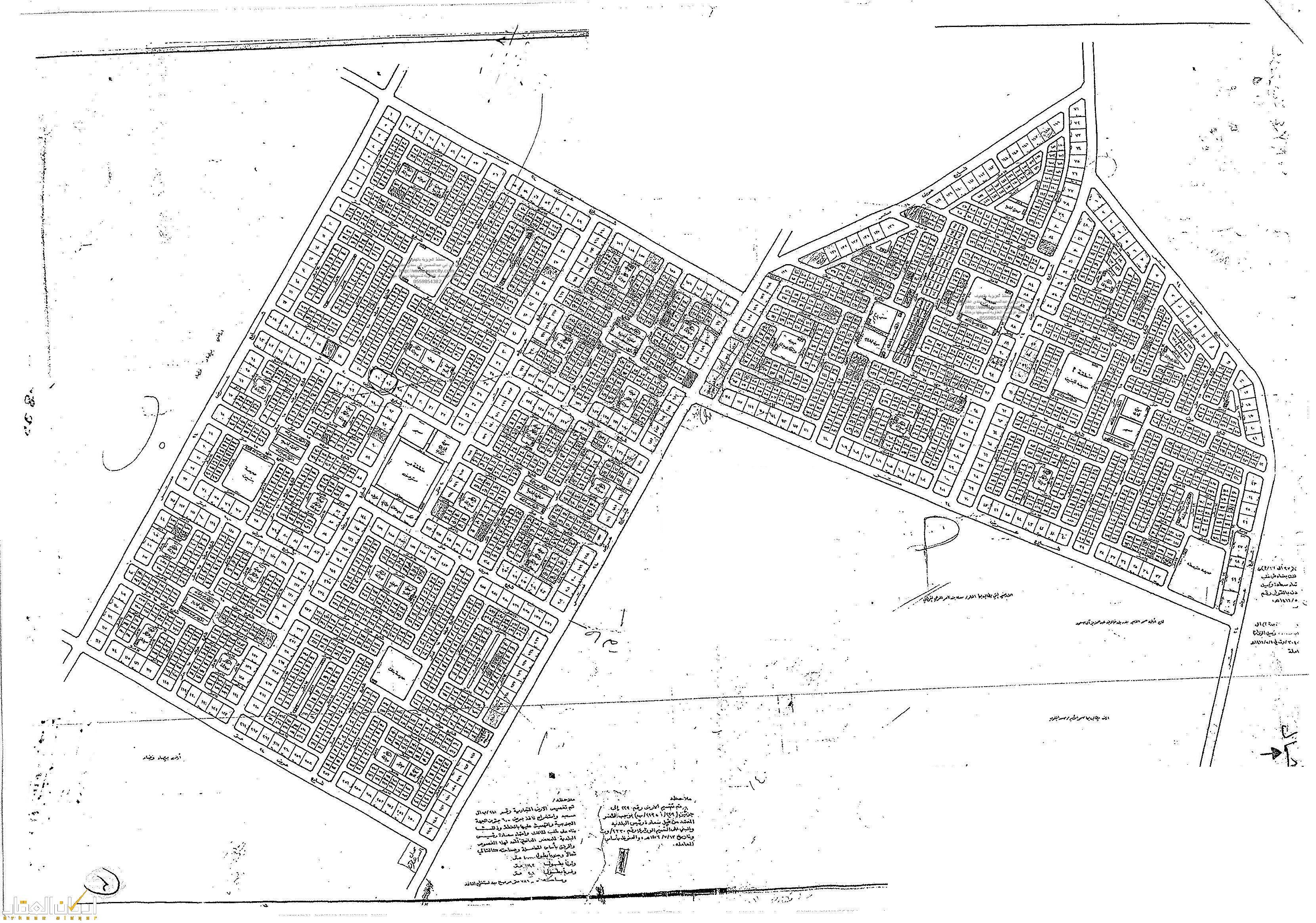
العزيزيه.pdf رقم المخطط 158/4 خدمات كهرباء ماء طرق إنارة صورة المخطط موقع المخطط 25.3300464, 49.5700153