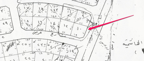
▪︎ رقم الارض 10
▪︎ المساحة 374 م
▪︎ شارع 20 × 12
الاطوال:
شمال:21.81 متر
جنوب :13.27 متر
شرق:21.36 متر
غرب :20 متر
شمال:21.81 متر
جنوب :13.27 متر
شرق:21.36 متر
غرب :20 متر
▪︎ سعر المتر 1,700 ريال
▪︎ السعر 635,800 ريال
▪︎ ملاحظات على العقار : يوجد نصف محول كهرباء
▪︎ رخصة فال 1200009258
- 98 views
