رقم المخطط
1083/4
خدمات
كهرباء
ماء
مجاري
طرق
إنارة
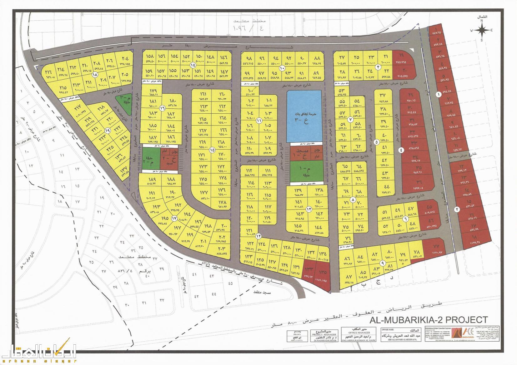
صورة المخطط
موقع المخطط
25.366659123368, 49.61842528908
